Determinatie
Determinatiehulp Sleutel wilde rozen
Determinatiehulp Sleutel wilde rozen
Herkenning (bron: wilde-planten.nl / Klaas Dijkstra)
Bloeitijd - juni - augustus
Hoogte - 2,00-3,00 m.
Geslachtsverdeling - tweeslachtig
Wortels -
Stengels/takken -
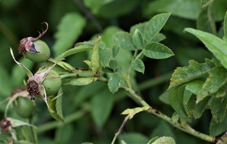
Bladeren - De oneven geveerde bladen staan tegenover elkaar. Ze zijn donkergroen en ovaal met gezaagde randen. De hoofd- en zijnerven zijn behaard.
Bloemen - Tweeslachtig (een bloem met zowel mannelijke als vrouwelijke geslachtsorganen). De in tuilen gerangschikte bloemen zijn rood tot licht roze. Met vijf kroonbladen.
Vruchten - Een vlezige schijnvrucht. De kelkbladen staan na de bloei af of in verschillende richtingen op de bottel. Ze vallen af tijdens of na de rijping van de bottel. Tweezaadlobbig (kiemend met twee kiemblaadjes).
Bodem - Zonnige tot half beschaduwde plaatsen op kalkhoudende, droge tot matig vochtige, zanderige of lemige grond of op kiezelstenen.
Groeiplaats - Zeeduinen, struwelen, heggen en bosranden.
Bloeitijd - juni - augustus
Hoogte - 2,00-3,00 m.
Geslachtsverdeling - tweeslachtig
Wortels -
Stengels/takken -
Bladeren - De oneven geveerde bladen staan tegenover elkaar. Ze zijn donkergroen en ovaal met gezaagde randen. De hoofd- en zijnerven zijn behaard.
Bloemen - Tweeslachtig (een bloem met zowel mannelijke als vrouwelijke geslachtsorganen). De in tuilen gerangschikte bloemen zijn rood tot licht roze. Met vijf kroonbladen.
Vruchten - Een vlezige schijnvrucht. De kelkbladen staan na de bloei af of in verschillende richtingen op de bottel. Ze vallen af tijdens of na de rijping van de bottel. Tweezaadlobbig (kiemend met twee kiemblaadjes).
Bodem - Zonnige tot half beschaduwde plaatsen op kalkhoudende, droge tot matig vochtige, zanderige of lemige grond of op kiezelstenen.
Groeiplaats - Zeeduinen, struwelen, heggen en bosranden.
Familie: Rosaceae
Groep: Vaatplanten
Status: Rode Lijst: Gevoelig
Zeldzaamheid: zeer zeldzame soort
Ecologische groep: struwelen